We would like to explain about some of the standard real estate legal documents in Japan. Real Estate companies often prepare a “Disclosure Statement” based on these documents. Below are some of the standard documents issued by the Legal Affairs Bureau.
1. Land Registration Certificate 土地登記簿謄本
From this certificate, you can confirm the registered land size, the owner’s name and address and the current owner’s mortgage information. Information is written in chronological order. Information that is underlined is old information and it is no longer valid. If the current owner took out a mortgage for the purchase, the loan information (the mortgage amount, the interest rate, name of bank and the branch, the date of mortgage issuance) will be listed on this document. After your purchase, you name will be written on Property Right Information section in the last column. (If you use a mortgage, your name will appear in the Financing Information section as well.)
2. Building Registration Certificate 建物登記簿謄本
This document lists the following information:
Address, Building Type (Residential, Commercial, Factory, School and etc.), Floor Size, Property Right Information, and Financing Information.
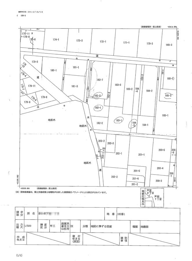
3. Cadastral Map 公図
This map usually looks a bit different from a typical map. (In Japan people often own several land lots for one house.) Using the land lot number information from the Land Registration documents, you can check the land shape and the relation with the public road. If the land is not connected to a public road, usually the land value will be lower. People tend to prefer lots that are adjacent to a public road rather than a private road.
4. Acreage Survey Map 地籍測量図
Land plots are measured by Land Surveyors and are registered at the Legal Affairs Bureau. The Acreage Survey Map allows you to verify the land size and the survey information.
5. Building Drawing 建物図面
This document generally contains two drawings.
The drawing on the left is the building’s outline shape and floor size information.
The drawing on the right depicts the relationship between the building and surrounding land lots.
6. Title Deed 権利書
After your purchase, a Judicial Scrivener will register your information at the Legal Affairs Bureau and will send you the “Title Deed”. This proves you are the owner of the property. If you have a chance to sell your property or transfer the rights to anyone, you will need this document. This is the most important document in real estate transactions. We advise people to keep the Title Deed in a safe location, as it is your proof of ownership.






